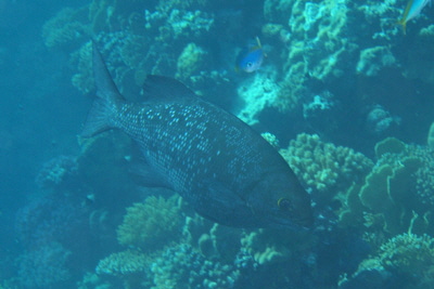
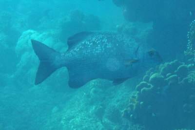
Grauer Ruderfisch
70 cm
Brown Chub/Grey Chub
Kyphosus bigibbus, Lacepède, 1801
Um küstenfernen Inseln, im Flachwasser, 1 bis 30 m,
Erscheinung wie: Hochflossen-Ruderfisch - Kyphosus cinerascens, jedoch mit dunklen Schwanz- sowie hinteren Rücken und Afterflossen.
Rotes Meer, Indischer Ozean, westl. und zentraler Pazifik
Grauer Ruderfisch - Kyphosus bigibbus
Foto: Peter Jonas
Grauer Ruderfisch - Kyphosus bigibbus
Foto: Peter Jonas
Unterwasser-Welt-Rotes Meer
